Oficinas Parla
Sugerencias para ti
Novedades
Habitación en piso compartido
Es una habitación muy equipada, parece un pequeño pisito, cuenta con sofá y mesa de salón elevable, terraza propia, super iluminada, puesto que da al exterior - Terraza exterior - Sofá de dos plaza - Mesa elevable - Escritorio y silla de oficina - Television con chromecast - Dispone de una cama 90 - Ventilador de techo - Radiador eléctrico - Tendedero exterior individual En cuanto a la cocina está equipada totalmente como extra destacar que dispone de nevera doble (tipo americana), lavadora-secadora Incluye Netflix, agua y limpieza mensual. No tiene gas, solo se paga a parte la luz, unos 18 euros de media.

Local/Oficina en venta
Se vende expositor para es poner carteles de venta sin luz

Traspaso Taller Mecánico
Traspaso taller mecánico con toda documentación en regla, cuenta con 5 elevadores, máquina de alineación, maquinaria montaje y equilibrado de neumáticos, varios equipos de diagnosis, máquinas de carga de gas aire acondicionado y gran cantidad de herramientas y utillaje. La nave cuenta con 1000 metros cuadrados, parking exterior, oficina, sala de espera y baños. Muy espacioso, gran oportunidad de negocio, alquiler muy asequible

Oficina - Local en alquiler
se alquila local en parla de unos 75metros ideas para negocio mejor ver y tratar en persona cualquier cosa.
Oficina - Local en alquiler
local para cualquier actividad comercial o alquiler por horas para reuniones o fiestas privadas preferiblemente alquiler para negocio . el local se encuentra en parla
Oficina en venta en Centro en Parla
¡Oportunidad única! Inmobiliar pone a la venta estas dos magníficas oficinas de 48m2 y 43m2 construidos, unidas en el interior para formar un espacio útil de 75m2. Situadas en zona centro, con todos los servicios al alcance, y a tan sólo 3 min andando de la estación de Cercanías Renfe, ideal para inversores o para cualquier actividad que requiera un espacio cómodo y funcional. Se encuentran en una segunda planta, en un edificio de oficinas en perfecto estado de conservación, construido en el 2005 y con ascensor. Dispone de 4 estancias separadas mediante cristalería y dos aseos. Entre sus calidades destacamos suelo de tarima, paredes lisas y aire acondicionado frio/calor para garantizar el confort térmico en cualquier época del año. Además hay posibilidad de una plaza de garaje (no incluida en el precio) Alta rentabilidad para inversores por la posibilidad de alquilar juntas o por separado con entradas independientes o para instalar tu propio negocio de manera inmediata, ya que están listas para empezar a trabajar. *Este anuncio no es vinculante, puede contener errores de carácter tipográfico no siendo este anuncio contractual, se muestra a título informativo.
Oficina en alquiler en Fuentebella-San Felix-El Leguario en Parla
Despacho de dos puestos de trabajo en el Centro de Empresas @emprendeParla Totalmente equipado: fuerza, iluminación, climatización, conexión a internet por fibra óptica, amueblado. Salas de reuniones. Todo incluido en el precio: consumos, servicios y gastos de comunidad. El Centro de Empresas @emprendeParla cuenta con 48 despachos de 1 a 5 puestos de trabajo, una sala de coworking para 10 puestos y 5 salas de reuniones, una de ellas con audiovisuales. Se correspondería con despacho 41 del plano adjunto. Posibilidad de plaza de garaje en el edificio.
Local comercial en venta en Fuentebella-San Felix-El Leguario en Parla
¡INMOBILIARIA CONFORT OFRECE - ¡LOCAL EN VENTA! Se vende fantástico local situado en la Galería Comercial Merca 2 de Parla, una zona con gran afluencia de público y variedad de comercios. � Superficie: 55 m² � Distribución: Estancia diáfana muy versátil � Incluye: 1 aseo � Estado actual: Tienda de libros y artículos esotéricos Gracias a su espacio abierto y su localización estratégica dentro de la galería, este local es perfecto para una amplia variedad de negocios. Ideal si buscas emprender o trasladar tu actividad a un lugar con movimiento. ✨ Posibles usos del local: Peluquería o barbería Tienda de ropa y complementos Tienda de telefonía y accesorios Papelería o copistería Centro de uñas / estética Tienda de mascotas y accesorios Estudio de tatuajes Tienda de regalos o artesanía Mini tienda de productos gourmet Oficina de servicios (seguros, agencias, arreglos, etc. ) � Ubicación privilegiada: En pleno Merca 2, con tránsito constante de vecinos, muy bien comunicado y con visibilidad dentro de la galería. � Un local práctico, luminoso y con infinitas posibilidades. ¡Haz crecer tu negocio aquí!
Local comercial en venta en Las Américas en Parla
� INMOBILIARIA HOGAR 360 VENDE ¡Tu próximo negocio empieza aquí! Te presentamos este amplio local de 300 m² en Parla, con todo lo que necesitas para montar tu proyecto y atraer clientes desde el primer día. ✨ Qué ofrece este local: 300 m² de espacio flexible y diáfano, listo para adaptar a cualquier actividad 2 baños cómodos y funcionales Cocina equipada para hostelería o catering Almacén amplio para guardar todo lo que necesites Máquina tragaperras ya instalada Posibilidades infinitas para bares, restaurantes, gimnasios, oficinas o cualquier negocio que imagines Además, existe la posibilidad de traspaso por 70.000 €, perfecto si quieres aprovechar la actividad y clientela existente. � Gran oportunidad en Parla, no dejes que se te escape � Llama a Inmobiliaria Hogar 360 al ¡Ven a visitarlo y descubre todo el potencial que este local puede ofrecer a tu negocio!
Piso en venta en Pintores-Ferial en Parla
Agencia inmobiliaria de Parla zona Parla Centro Tecnocasa CONSULTING INMOBILIARIO PARLA CENTRO SL Zona Centro de Parla. SE VENDE EL PISO CON LOS INQUILINOS ACTUALES + Cuarta Planta totalmente reformada. + Inmueble muy luminoso, Exterior. + Salón/comedor, con aire acondicionado y radiador. + Tres DORMITORIOS. + Suelos de tarima. + Cocina reformada con terraza. + Amplio baño con bañera. + Ventanas de aluminio gris. + Orientación Sur. + Calefacción a gas. + Terraza cerrada con armario. + Radiadores en toda la vivienda. + Electricidad y tuberías cambiadas. Se caracteriza excelente ubicación. Muy cercano a estación de tren. Cercano a la vivienda centro de salud, colegios, institutos, y grandes zonas verdes con parques infantiles. El barrio contiene una amplia variedad de comercios, centro comercial, colegios, centros médicos, parking público, galerías de alimentación, farmacias, restauración y textil. También, cuenta con muy buena comunicación de transporte público, Tranvía cercana a la vivienda, que comunica con todo el municipio y con parada en la estación de tren de Renfe-Cercanías. TECNOCASA, red inmobiliaria líder en el sector con más de 30 años de experiencia, presente en más de 11 países, 620 oficinas a nivel nacional y con 232 oficinas en la Comunidad de Madrid. Realizamos valoraciones de su hogar totalmente gratuitas; gestionamos el proceso de post-venta (tanto para comprador como para el vendedor); además, les daremos toda la información que necesiten sobre hipotecas, les ayudaremos a tramitar herencias, certificados, cambios de titularidad, plusvalías, permiso de venta, etc. Contamos con la colaboración del departamento de financiación de KÍRON, su experto intermediario que le asesorará gratuitamente sin ningún compromiso. Nuestros servicios: - Hipoteca 'primera vivienda'. - Hipoteca 'cambio de vivienda'. - Hipoteca 100%. Disponemos de las mejores viviendas del mercado.
Piso en venta en Reyes en Parla
Agencia inmobiliaria de PARLA, zona REYES - LAS AMÉRICAS, Oficina Tecnocasa vende piso situado en zona de Reyes, cercano al centro de salud 'Isabel II', colegios e institutos y centro comercial 'El Ferial'. + Piso situado en 3a planta + 3 amplias habitaciones, con armario empotrado en dormitorio principal + Salón comedor, equipado con aire acondicionado + Terraza abierta + Baño con bañera + Cocina amueblada con espacio para despensa / tendedero + Suelos de parquet y gres + Calefacción eléctrica + Variedad de comercios y servicios cercanos a la vivienda El piso se caracteriza por su buena distribución, y su excelente ubicación. ZONA REYES - LAS AMÉRICAS El piso en venta se ubica en zona de Reyes, rodeada de una amplia variedad de comercios, tales como galerías de alimentación, restauración y textil. También está cercano al centro de salud, farmacias, biblioteca municipal "Gloria Fuertes" bancos y cajeros, colegios, institutos, y grandes zonas verdes con parques infantiles. TECNOCASA, red inmobiliaria líder en el sector con más de 30 años de experiencia, presente en más de 11 países, 1000 oficinas a nivel nacional y con 500 oficinas en la Comunidad de Madrid. Realizamos valoraciones de su hogar totalmente gratuitas; gestionamos el proceso de post-venta (tanto para comprador como para el vendedor); además, les daremos toda la información que necesiten sobre hipotecas, les ayudaremos a tramitar herencias, certificados, cambios de titularidad, plusvalías, permiso de venta, etc. Contamos con la colaboración del departamento de financiación de KÍRON, su experto intermediario que le asesorará gratuitamente sin ningún compromiso. Nuestros servicios: - Hipoteca "primera vivienda". - Hipoteca "cambio de vivienda". - Hipoteca 100%. Disponemos de las mejores viviendas del mercado. NO DUDE EN VISITARNOS.
Piso en venta en Parque Inlasa en Parla
Agencia inmobiliaria de PARLA - Oficina Tecnocasa. vende Piso en Parla, situado en la zona de sur. Piso a la venta situado en la zona parque Inlasa de Parla. Vivienda reformada ubicada en 3ª planta con ascensor. Consta de 3 dormitorios Baño con plato de ducha y ventana Cocina con tendedero Salón con acceso a terraza Suelos de gres Ventanas de aluminio Aire acondicionado con bomba de calor en salón Calefacción individual de gas natural Zona tranquila, bien comunicada con el transporte público, colegios, supermercados, carreteras de largo recorrido, zonas infantiles y del hospital Infanta Cristina de Parla. TECNOCASA, red inmobiliaria líder en el sector con más de 30 años de experiencia, presente con mas 900 oficinas a nivel nacional y 7 oficinas en Parla. Realizamos valoraciones de su hogar totalmente gratuitas; gestionamos el proceso de post-venta (tanto para comprador como para el vendedor); además, les daremos toda la información que necesiten sobre hipotecas, les ayudaremos a tramitar herencias, certificados, cambios de titularidad, plusvalías, permiso de venta, etc. Contamos con la colaboración del departamento de financiación de KÍRON, su experto intermediario que le asesorará gratuitamente sin ningún compromiso. Nuestros servicios: -Hipoteca ´primera vivienda´. - Hipoteca ´cambio de vivienda´. - Hipoteca 100%. Disponemos de las mejores viviendas del mercado. NO DUDE EN VISITARNOS.
Casa adosada en venta en Parla Este en Parla
Dagosa Consultores ofrece venta de Casa Adosada en Calle CONSTELACIÓN PEGASO, Parla (Madrid) GESTIONAMOS TU OFERTA! Excelente oportunidad de adquirir en propiedad esta vivienda ubicada en Parla, provincia de Madrid. Se trata de una vivienda unifamiliar adosada compuesta de cuatro plantas, sótano, baja, primera y bajo cubierta, comunicadas entre sí por escalera interior. La planta sótano, es diáfana. La planta baja, cuenta con vestíbulo, cocina, salón comedor, aseo, un porche delantero, garaje cubierto y terraza posterior privada. En la primera planta podemos encontrar tres dormitorios, una sala de estar y dos baños completos, uno de ellos en suite en la habitación principal. Por último, la planta bajo cubierta dispone de un espacio diáfano y de otra terraza privada en altura. Se trata de una zona de ampliación del municipio denominada "Parla Este", compuesta por bloques de viviendas plurifamiliares y viviendas unifamiliares adosadas. ***DAGOSA CONSULTORES, Somos una empresa de consultoría, broker inmobiliario especializado en la comercialización integral de locales comerciales, expansión de empresas, oficinas e inversión en Madrid capital y toda su provincia. ****.
Piso en venta en Parla Este en Parla
Agencia inmobiliaria de PARLA. Piso a la venta en Parla, zona de Parla Este. La vivienda esta alquilada hasta julio de 2027, con la opción de subrogación al contrato de arrendamiento para el futuro comprador, con una renta mensual de 770€. Situada en el centro de Parla Este, Junto al parque del universo, Próximo a comercios y servicios de la zona, Parada de tranvía y bus. Vivienda de esquina de 3 dormitorios, Salón independiente, Cocina amueblada con tendedero cerrado, 2 Baños completos, 2 Plazas de garaje y Trastero. TECNOCASA, red inmobiliaria líder en el sector con más de 30 años de experiencia, presente con mas 900 oficinas a nivel nacional y 7 oficinas en Parla. Realizamos valoraciones de su hogar totalmente gratuitas; gestionamos el proceso de post-venta (tanto para comprador como para el vendedor); además, les daremos toda la información que necesiten sobre hipotecas, les ayudaremos a tramitar herencias, certificados, cambios de titularidad, plusvalías, informes de venta VPP, descalificaciones etc.
Local comercial en venta en Laguna Park en Parla
Rhouse asesores inmobiliarios parque Lisboa vende: 2 locales unidos situados en Parla con gran visibilidad, gracias a su fachada exterior de aproximadamente 18 metros, ideal para negocios que busquen estar a pie de calle. El espacio cuenta con: 3 grandes estancias diáfanas, perfectas para sala principal, zona de atención al público o exposición. 3 estancias más pequeñas, ideales como despachos, almacenes, zona administrativa o salas técnicas. 2 baños convenientemente distribuidos. Su distribución versátil y sus dimensiones proporcionan múltiples posibilidades de uso: comercio, academia, centro estético, clínica, trasteros, oficinas. Comunicaciones: Ubicado en una zona consolidada de Parla, con excelente acceso en transporte público y privado. Cercano a paradas de autobuses urbanos e interurbanos, a pocos minutos de la estación de Cercanías Renfe - Parla y con fácil conexión a la M-408 y A-42, lo que favorece un flujo constante de tránsito peatonal y rodado. Una opción ideal tanto para emprendedores como para empresas que buscan un espacio amplio, bien comunicado y con gran visibilidad. Para más información no dude en contactar con nosotros, estaremos encantados de atenderles.
Local comercial en venta en Pintores-Ferial en Parla
Presentamos un excepcional local en esquina, ideal para emprendedores que buscan visibilidad y atractivo comercial. Este espacio destaca por su amplia cristalera, que permite disfrutar de una excelente iluminación natural durante todo el día, creando un ambiente acogedor tanto para clientes como empleados. Con generosas dimensiones interiores, ofrece múltiples posibilidades de configuración según las necesidades del negocio: desde tiendas minoristas hasta oficinas o cafeterías. Su ubicación estratégica garantiza un alto flujo peatonal y vehicular, lo cual es fundamental para maximizar la exposición de cualquier emprendimiento. Además, cuenta con acceso fácil a servicios públicos y vías principales. Aprovecha esta oportunidad única de inversión inmobiliaria en una zona vibrante llena de potencial.
Garaje en venta en Calle Pinto-San Roque en Parla
100% HOME RED INMOBILIARIA VENDE PLAZA DE GARAJE EN PARLA, ZONA CENTRO. En sus alrededores encontramos escuelas, supermercados, bancos, bibliotecas, farmacias, oficinas de correos, centros deportivos, varias paradas de autobús y la estación de tren Parla. En términos de accesibilidad, la propiedad dispone de múltiples conexiones y cuenta con fácil acceso a R-4.
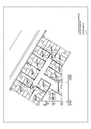
Local comercial en alquiler en Fuentebella-San Felix-El Leguario en Parla
Alquiler de local comercial en el edificio Leguario. Este espacioso local ofrece una ubicación privilegiada y una amplia variedad de posibilidades para establecer tu negocio. Con una superficie de 211 m2, está formado por los locales 9 y 10 del plano que puede ver en el anuncio. Cuenta con amplias terrazas y escaparates. El edificio cuenta con todos los servicios, incluida acometida de incendios y acometida de gas, chimeneas y ventilaciones, además dispone de espacio reservado en cubierta para las máquinas de climatización. La altura libre mínima es de 3,35 y los forjados están diseñados para soportar altas cargas. El local comercial se encuentra en una ubicación estratégica en Parla, con fácil acceso desde la A42 y rodeado de una densa zona residencial. Además, cuenta con aparcamiento en el edificio para facilitar el acceso de tus clientes. Para más información, acércate a nuestras oficinas ubicadas en el propio edificio. ¡Te esperamos para ayudarte a encontrar el lugar perfecto para tu negocio!
Local comercial en alquiler en Reyes en Parla
¡Gran oportunidad de alquiler en Parla! Inmejorable local reformado y recién pintado cuenta con una superficie útil de 62 m², ideal para emprender o expandir tu negocio. La distribución incluye una amplia sala diáfana que ofrece múltiples posibilidades, además de una oficina privada y dos aseos, lo que lo convierte en un espacio funcional y cómodo. La fachada de 7 metros en planta calle garantiza una excelente visibilidad, complementada por un escaparate que atraerá la atención de los transeúntes. Situado en una zona comercial de alto tránsito, este local se beneficia de un flujo constante de clientes potenciales. No pierdas la oportunidad de establecerte en una ubicación privilegiada. Excelente ubicación de fácil acceso Autopista A-42 y R-4. Líneas de autobuses 461 y 471! 4 minutos andando de ML4 (Tranvía de Parla) ¡Contáctanos para más información y ven a verlo!
Local comercial en venta en Pintores-Ferial en Parla
EMPIRE REAL ESTATE PROPERTIES presenta en exclusiva este espectacular local comercial en la codiciada Calle Pinto, Parla. Una joya inmobiliaria con proyección de éxito. Ubicado en una de las arterias más estratégicas y transitadas de Parla, a tan solo unos pasos del reconocido centro comercial El Ferial, este exclusivo local a pie de calle se erige como el escenario perfecto para dar vida a tu próximo gran proyecto empresarial. Con una imponente superficie útil de 170 m², este espacio ofrece infinitas posibilidades de configuración y expansión. Al ingresar, te recibe una impresionante zona diáfana de 85 m², un espacio limpio, luminoso y versátil: el lienzo ideal para materializar cualquier concepto comercial. Desde una boutique de alta gama hasta un showroom, galería de arte, estudio creativo o centro de bienestar... el límite lo pone tu imaginación. La propiedad se completa con dos estancias independientes de generosas dimensiones, perfectas para oficinas privadas, consultas, cabinas de tratamiento, salas de reuniones o áreas de atención personalizada. Un amplio almacén proporciona el soporte logístico que todo negocio necesita, permitiendo mantener el área principal despejada, elegante y funcional. Además, el local dispone de dos aseos, asegurando comodidad tanto para el equipo como para los clientes. La espectacular fachada acristalada de 8 metros lineales no solo aporta prestigio y visibilidad, sino que se convierte en un escaparate de impacto, ideal para exhibir tu marca y atraer todas las miradas en esta zona de alto tránsito peatonal. Pensando en el confort durante todo el año, el local está equipado con tres sistemas de aire acondicionado industrial y un equipo split adicional, garantizando un ambiente agradable en cada rincón. Los suelos de gres y las paredes lisas aportan una estética moderna, sobria y de fácil mantenimiento, adaptándose a cualquier identidad corporativa. Con un historial comercial que incluye actividades como peluquería de alto nivel
Local comercial en venta en Reyes en Parla
¡Gran oportunidad de alquiler o venta en Parla! Este local reformado y recién pintado cuenta con una superficie útil de 62 m², ideal para emprender o expandir tu negocio. La distribución incluye una amplia sala diáfana que ofrece múltiples posibilidades, además de una oficina privada y dos aseos, lo que lo convierte en un espacio funcional y cómodo. La fachada de 7 metros en planta calle garantiza una excelente visibilidad, complementada por un escaparate que atraerá la atención de los transeúntes. Situado en una zona comercial de alto tránsito, este local se beneficia de un flujo constante de clientes potenciales. No pierdas la oportunidad de establecerte en una ubicación privilegiada! Excelente ubicación de fácil acceso Autopista A-42 y R-4. Líneas de autobuses 461 y 471. 4 minutos andando de ML4 (Tranvía de Parla) ¡Contáctanos para más información y ven a verlo!
Piso en venta en Laguna Park en Parla
Agencia inmobiliaria de parla - oficina Tecnocasa vende piso situado en zona LAGUNA PARK cercano a la salida a la A42, centro de salud, Renfe y tranvía, ayuntamiento, colegios, supermercados, etc. Piso en urbanización con parque infantil GARAJE Y TRASTERO. En una de las mejores urbanizaciones de Parla. Un lugar idóneo para ti y tu familia, con todas las comodidades. + Piso situado en una 1ª planta ACTUALIZADO + Entrada/hall principal con armario empotrado + Amplio salón/comedor independiente + 3 dormitorios: 2 dobles y uno individual, todos ellos con armarios empotrados + 2 baños, uno de ellos en suite, uno con bañera y otro con plato de ducha, ambos con ventana + Reforma: Hace 2 años + Suelos de tarima cambiados + Aire acondicionado con bomba frio/calor en el salón a estrenar y en la habitación de matrimonio + Gastos de comunidad: 97€ + Zonas comunes muy cuidadas con parque infantil para disfrutar en familia. Cuenta con portero físico y videovigilancia por toda la urbanización. ¡No pierdas la oportunidad de visitarlo, y convertir este piso en tu próximo hogar! ZONA LAGUNA PARK La zona Laguna Park de Parla, está rodeada de una amplia variedad de comercios, tales como galerías de alimentación, restauración, textil, farmacias, bancos y cajeros, colegios y zonas verdes con parques. El inmueble en venta se ubica en la zona Laguna Park, cercano a la Renfe - Cercanías, colegios e institutos, al Ayuntamiento de Parla. Cuenta con el Centro de Salud 'San Blas'. Y, con fácil acceso a la A-42, autovía de Toledo. TECNOCASA, red inmobiliaria líder en el sector con más de 30 años de experiencia, presente en más de 11 países, 900 oficinas a nivel nacional y con 400 oficinas en la Comunidad de Madrid. Realizamos valoraciones de su hogar totalmente gratuitas; gestionamos el proceso de post-venta (tanto para comprador como para el vendedor); además, les daremos toda la información que necesiten sobre hipotecas, les ayudaremos a tramitar herencias, certificados, cambios de tit
Local comercial en alquiler en El Nido-Las Fuentes en Parla
Parla es el 9º Municipio de la Comunidad de Madrid con Más habitantes. Su ubicación es en el Sur de la Comunidad a tan solo 30 minutos en coche o cercanías de la Ciudad de Madrid. Para Alquilar Locales en Parla puedes visitar la oficina comercial en la Glorieta de Cuatro Caminos 6, en Madrid o si lo prefieres puedes solicitar más información a través del teléfono o correo electrónico. Los locales que puedes alquilar están a lo largo de dos calles perpendiculares entre sí. La calle la Pila 3 y la calle Fuente Nueva de Parla, una zona residencial con todo tipo de negocios al rededor, colegios, institutos, restaurantes, etc. , una zona que destaca por su alta actividad. Alquilar un local en Parla es una oportunidad para un negocio. Todos Nuestros locales para alquilar en Parla cuentan con salida de humo. Puedes elegir varios tamaños en función de las necesidades de tu negocio. Alquila locales desde 42,27 m² hasta 208 m² con 3,9 metros de altura. Solicita información sobre las condiciones del Alquiler de Locales en Parla y sobre los detalles de los locales. Puedes contactar con nosotros o visitarnos en la Glorieta de Cuatro Caminos 6, en Madrid.
Local comercial en venta en El Nido-Las Fuentes en Parla
Parla es un Municipio de la Comunidad de Madrid que se encuentra en el Sur de la Capital a tan solo 20 Km. Este municipio está entre los 10 con más habitantes de la Comunidad de Madrid. Nuestros Locales Comerciales en Venta se localizan en dos calles perpendiculares, en las calles La Pila, 3 y Fuente Nueva. Una zona con muchos comercios y negocios, así como edificios de vivienda. Esta ubicación por lo tanto es una zona con gran movimiento comercial por lo que tiene unas amplias posibilidades para montar cualquier tipo de negocio. Existen varios locales en venta en Parla según las dimensiones, en concreto 4 tipos de tamaño. Los locales más pequeños tienen unas dimensiones de 42,27 m² mientras las más grandes son de 208 m². Puedes solicitar información en nuestra oficina situada en la Glorieta de Cuatro Caminos 6, en Madrid. También puedes pedir toda la información que desees sobre la Venta de locales a través del correo electrónico o vía telefónica.
Piso en venta en Reyes en Parla
SI! CASA INMOBILIARIA - 买房、卖房、找欧乘房产! DESCRIPCIÓN DE LA PROPIEDAD: Piso de 81 m² construidos, ubicado en la segunda planta de un edificio con ascensor nuevo, en la zona de Reyes Católicos, en Parla. La vivienda está en muy buen estado, ya que fue reformada recientemente. Consta de 3 dormitorios, 2 baños completos, cocina independiente, salón comedor y terraza acristalada, que aporta un espacio adicional. CARACTERÍSTICAS DESTACADAS: Vivienda reformada, segunda planta con ascensor nuevo, terraza acristalada, aire acondicionado, calefacción individual de gas natural, distribución cómoda y lista para entrar a vivir. UBICACIÓN: Situado en la zona de Reyes Católicos, una de las áreas más consolidadas y demandadas de Parla. Rodeado de colegios, centros de salud, comercios, transporte público y todos los servicios necesarios. Es una opción ideal tanto para familias como para quienes buscan una buena oportunidad de inversión por ubicación y estado. SERVICIOS EXCLUSIVOS DE SI! CASA: En SI! CASA INMOBILIARIA, nos comprometemos a ofrecerte un servicio personalizado y completo: Buscamos las mejores opciones que se adapten a tus necesidades. Evaluamos tu situación financiera y te asesoramos en las mejores soluciones. Nos encargamos de todos los trámites relacionados con la financiación. Te guiamos y asistimos en cada paso del proceso de adquisición de tu futura casa. MÁS INFORMACIÓN Y CONTACTO: Visita nuestra oficina en Parla, Calle Real 2 o llámanos al COMERCIAL ENCARGADA: Feiyan - TEL:.
Local comercial en alquiler en El Nido-Las Fuentes en Parla
Parla es el 9º Municipio de la Comunidad de Madrid con Más habitantes. Su ubicación es en el Sur de la Comunidad a tan solo 30 minutos en coche o cercanías de la Ciudad de Madrid. Para Alquilar Locales en Parla puedes visitar la oficina comercial en la Glorieta de Cuatro Caminos 6, en Madrid o si lo prefieres puedes solicitar más información a través del teléfono o correo electrónico. Los locales que puedes alquilar están a lo largo de dos calles perpendiculares entre sí. La calle la Pila 3 y la calle Fuente Nueva de Parla, una zona residencial con todo tipo de negocios al rededor, colegios, institutos, restaurantes, etc. , una zona que destaca por su alta actividad. Alquilar un local en Parla es una oportunidad para un negocio. Todos Nuestros locales para alquilar en Parla cuentan con salida de humo. Puedes elegir varios tamaños en función de las necesidades de tu negocio. Alquila locales desde 42,27 m² hasta 208 m² con 3,9 metros de altura. Solicita información sobre las condiciones del Alquiler de Locales en Parla y sobre los detalles de los locales. Puedes contactar con nosotros o visitarnos en la Glorieta de Cuatro Caminos 6, en Madrid.
Local comercial en zona Reyes
Local comercial situado en la zona de Reyes. Ideal para oficina. - Zona Reyes. - Espacio para oficina.
Local comercial en venta en El Nido-Las Fuentes en Parla
Parla es un Municipio de la Comunidad de Madrid que se encuentra en el Sur de la Capital a tan solo 20 Km. Este municipio está entre los 10 con más habitantes de la Comunidad de Madrid. Nuestros Locales Comerciales en Venta se localizan en dos calles perpendiculares, en las calles La Pila, 3 y Fuente Nueva. Una zona con muchos comercios y negocios, así como edificios de vivienda. Esta ubicación por lo tanto es una zona con gran movimiento comercial por lo que tiene unas amplias posibilidades para montar cualquier tipo de negocio. Existen varios locales en venta en Parla según las dimensiones, en concreto 4 tipos de tamaño. Los locales más pequeños tienen unas dimensiones de 42,27 m² mientras las más grandes son de 208 m². Puedes solicitar información en nuestra oficina situada en la Glorieta de Cuatro Caminos 6, en Madrid. También puedes pedir toda la información que desees sobre la Venta de locales a través del correo electrónico o vía telefónica.
Piso en venta en Villayuventus-Renfe en Parla
Piso de 79 m² ubicado en Parla, Madrid. Este piso de 79 m² se encuentra en el núcleo urbano de Parla, una localidad consolidada al sur de Madrid que destaca por su excelente conectividad y variedad de servicios. La vivienda está distribuida en un amplio salón-comedor, cocina independiente, tres dormitorios y un baño completo, ofreciendo espacios funcionales y luminosos, ideales para familias o para quienes buscan comodidad y amplitud en su hogar. El edificio donde se sitúa el piso presenta una estructura moderna y bien conservada, con zonas comunes cuidadas y acceso adaptado. La orientación y disposición de las estancias favorecen la entrada de luz natural, creando un ambiente acogedor y confortable. El inmueble no cuenta con parcela propia, pero dispone de acceso directo a las áreas urbanas circundantes, lo que facilita la movilidad y el disfrute de los servicios del entorno. La ubicación en Calle Getafe, en pleno centro de Parla, permite disfrutar de una amplia oferta de servicios esenciales a pocos minutos a pie: supermercados, restaurantes, instalaciones deportivas, centros educativos como el Colegio Público Miguel Delibes y el IES Nicolás Copérnico, oficinas bancarias y otros negocios comerciales. En las inmediaciones se encuentra el Hospital Infanta Cristina, el Centro de Salud Parla Este y el Parque de las Comunidades, espacios que aportan calidad de vida y bienestar a los residentes. En cuanto a comunicaciones, Parla está perfectamente conectada mediante la autovía A-42, que enlaza directamente con Madrid y Toledo, facilitando el acceso rápido tanto en vehículo privado como en transporte público. La localidad dispone de Cercanías Renfe (línea C-4), con estación a menos de 10 minutos andando desde la vivienda, y una extensa red de autobuses urbanos e interurbanos (líneas 4 64, 471, entre otras) que comunican con municipios cercanos y la capital. Además, la proximidad a la M-408 y la R-4 refuerza la accesibilidad por carretera. Parla cuenta con zonas verdes co
Local comercial en venta en Fuentebella-San Felix-El Leguario en Parla
QUARZO REAL ESTATE, vende Local Comercial en Parla, (Madrid) Activo adjudicado en subasta SIN POSESIÓN. Actualmente, no es posible realizar visitas al interior del inmueble. Las fotografías pueden no reflejar el estado actual de la propiedad. El precio del inmueble ha sido fijado en atención a que el inmueble se adquiera por el comprador en estado de ocupado por lo que no aplicaría dicho precio si en el momento de formalización de la escritura pública el inmueble se encontrara libre de ocupantes. Se vende increíble local comercial de 78 m² construidos, situado en pleno corazón de Parla (Madrid). El inmueble se distribuye cómodamente en una sola planta, ofreciendo un espacio versátil y funcional para múltiples tipos de negocio. Su excelente ubicación garantiza gran afluencia y visibilidad, rodeado de todo tipo de servicios: escuelas, supermercados, bancos, bibliotecas, farmacias, oficinas de correos y centros deportivos. En cuanto a accesibilidad, la propiedad dispone de excelentes conexiones de transporte público y un fácil acceso a la autovía A-42, facilitando la comunicación con Madrid y localidades cercanas. ¡No dude más y llámenos, estaremos encantados de atenderle!

Local comercial en venta en Villayuventus-Renfe en Parla
Inmueble especial Inversionistas que se vende SIN POSESIÓN. No podemos dar acceso a la vivienda para visitarla. El inmueble ha sido adquirido a través de un procedimiento judicial (concursal o hipotecario) por el vendedor, el cual no ha tomado todavía posesión del mismo. El Inmueble se transmite sin conocerse por parte del Vendedor el estado de conservación actual, ni su situación ocupacional, arrendaticia, de servicios y de suministros. Se vende el 50% del pleno dominio de un local comercial de 163 m² en Parla, Madrid. Se trata de un local de 163 m² distribuidos en varias estancias. Cuenta con acceso directo desde calle. El local se sitúa en el núcleo urbano de la población, teniendo buenos accesos por carretera. Ofrece conexión por transporte público al estar cerca de paradas de autobús y de tram y a pocos pasos de la estación de tren. En los alrededores podemos encontrar servicios como supermercados, restaurantes, instalaciones deportivas, centros educativos, oficinas bancarias, otros negocios comerciales, etc. Cerca del ayuntamiento y a pocos minutos del centro comercial El Ferial. Se recomienda que el comprador obtenga asesoramiento profesional y legal antes de adoptar la decisión de compra.
Local comercial en venta en Calle Pinto-San Roque en Parla
Local comercial en Parla, situado en Calle Cristina Sánchez, con una superficie aproximada de 122 m2 construidos. El inmueble se encuentra en buen estado, perteneciente a cartera bancaria. Destaca por su ubicación estratégica en zona comercial de Parla, con visibilidad y accesos adecuados para actividades de negocio. Ideal para tienda, oficina o negocio con atención al público. Una oportunidad interesante para emprendedores o inversores que buscan establecerse en un entorno consolidado.
Local comercial en venta en El Nido-Las Fuentes en Parla
¡Oportunidad única en el corazón de la ciudad! Este local en venta, con una superficie útil de 230 m² y 250 m² construidos, se encuentra en una ubicación privilegiada, con fácil acceso a la autovía de Toledo. Su diseño en esquina proporciona una excelente visibilidad gracias a sus siete escaparates que inundan el espacio de luz natural. Ideal para establecer un taller o una oficina, el local cuenta con techos altos que otorgan una sensación de amplitud. Dispone de dos estancias versátiles y tres baños adaptados para personas con movilidad reducida, garantizando comodidad para todos. Además, cuenta con aire acondicionado y un almacén que añade funcionalidad al espacio. Sin pagos de comunidad y con documentación actualizada para dos vados, este local es perfecto para emprendedores que buscan un lugar estratégico a pie de calle. ¡No dejes pasar esta oportunidad de inversión!
Local comercial en alquiler en Fuentebella-San Felix-El Leguario en Parla
Alquiler de local comercial en el edificio Leguario. En una ubicación privilegiada, ofrece una amplia variedad de posibilidades para establecer tu negocio. Con una superficie de 161 m2 en dos plantas, 39,5 m2 de terrazas, se corresponde con el local 1 del plano que puedes ver en el anuncio. Cuenta con amplia terraza y escaparate. El edificio cuenta con todos los servicios, incluida acometida de incendios y acometida de gas, chimeneas y ventilaciones, además dispone de espacio reservado en cubierta para las máquinas de climatización. La altura libre es de 3,95 m. Forjados diseñados para soportar altas cargas. El local comercial se encuentra en una ubicación estratégica en Parla, con fácil acceso desde la A42 y rodeado de una densa zona residencial. Además, cuenta con aparcamiento en el edificio para facilitar el acceso de tus clientes (no incluido en el precio). Para más información pasa por nuestras oficinas ubicadas en el propio edificio. ¡Te esperamos para ayudarte a encontrar el lugar perfecto para tu negocio!
Local comercial en alquiler en Fuentebella-San Felix-El Leguario en Parla
Espectacular local de 342 m2 en esquina con 50 metros de escaparate y 290 m2 de terraza. Este espacioso local ofrece una ubicación privilegiada y una amplia variedad de posibilidades para establecer tu negocio. Está formado por los locales 3, 4, 5 y 6 del plano que puedes ver en el anuncio. El edificio cuenta con todos los servicios, incluida acometida de incendios y acometida de gas, chimeneas para salida de humos y ventilaciones, además dispone de espacio reservado en cubierta para las máquinas de climatización. La altura libre 3,95 m. Forjados diseñados para soportar altas cargas. El local comercial se encuentra en una ubicación estratégica en Parla, con fácil acceso desde la A42 y rodeado de una densa zona residencial. Para más información, acércate a nuestras oficinas ubicadas en el propio edificio. ¡Te esperamos para ayudarte a encontrar el lugar perfecto para tu negocio!
Traspaso/ Liquidacion taller equipado Parla
Taller de mecánica totalmente equipado, negocio alquiler de boxes y compra-venta en polígono de Parla Nave de 650m y planta de arriba con 3 estancias, 2 baños,1 con ducha para oficina/almacén o posibilidad de vivienda 4 estaciones de trabajo equipadas con elevador, carros completos de herramientas, recogedor de aceite por succión, gatos de foso +6 preinstalaciones para ampliación Capacidad del taller para unos 10 coches + parking exterior de 6 plazas Aire comprimido, gestión de residuos, Alarma y cámaras de seguridad Se escuchan ofertas serias acorde a contenido de primeras marcas medio a estrenar. 41.000
Local comercial en alquiler en Fuentebella-San Felix-El Leguario en Parla
Local 7 del plano adjunto, situado en edificio Leguario, de nueva planta, dispone de 2 terrazas. Varios locales disponibles desde 62 m2 hasta 487 m2, modulables y diáfanos en edificio terciario de oficinas en zona residencial y comercial. Todos los locales disponen de amplias fachadas y terrazas. El edificio cuenta con todos los servicios, incluida acometida de incendios y acometida de gas, chimeneas y ventilaciones, además dispone de espacio reservado en cubierta para las máquinas de climatización. Altura libre mínima de 3,35 ó 3,95, según zona. Forjados diseñados para soportar altas cargas. Posibilidad de plazas de garaje en el aparcamiento del edificio, que cuenta con 50 plazas. Información en el propio edificio.
Local comercial en alquiler en El Nido-Las Fuentes en Parla
Parla es el 9º Municipio de la Comunidad de Madrid con Más habitantes. Su ubicación es en el Sur de la Comunidad a tan solo 30 minutos en coche o cercanías de la Ciudad de Madrid. Para Alquilar Locales en Parla puedes visitar la oficina comercial en la Glorieta de Cuatro Caminos 6, en Madrid o si lo prefieres puedes solicitar más información a través del teléfono o correo electrónico. Los locales que puedes alquilar están a lo largo de dos calles perpendiculares entre sí. La calle la Pila 3 y la calle Fuente Nueva de Parla, una zona residencial con todo tipo de negocios al rededor, colegios, institutos, restaurantes, etc. , una zona que destaca por su alta actividad. Alquilar un local en Parla es una oportunidad para un negocio. Todos Nuestros locales para alquilar en Parla cuentan con salida de humo. Puedes elegir varios tamaños en función de las necesidades de tu negocio. Alquila locales desde 42,27 m² hasta 208 m² con 3,9 metros de altura. Solicita información sobre las condiciones del Alquiler de Locales en Parla y sobre los detalles de los locales. Puedes contactar con nosotros o visitarnos en la Glorieta de Cuatro Caminos 6, en Madrid.
Local comercial en venta en El Nido-Las Fuentes en Parla
Parla es un Municipio de la Comunidad de Madrid que se encuentra en el Sur de la Capital a tan solo 20 Km. Este municipio está entre los 10 con más habitantes de la Comunidad de Madrid. Nuestros Locales Comerciales en Venta se localizan en dos calles perpendiculares, en las calles La Pila, 3 y Fuente Nueva. Una zona con muchos comercios y negocios, así como edificios de vivienda. Esta ubicación por lo tanto es una zona con gran movimiento comercial por lo que tiene unas amplias posibilidades para montar cualquier tipo de negocio. Existen varios locales en venta en Parla según las dimensiones, en concreto 4 tipos de tamaño. Los locales más pequeños tienen unas dimensiones de 42,27 m² mientras las más grandes son de 208 m². Puedes solicitar información en nuestra oficina situada en la Glorieta de Cuatro Caminos 6, en Madrid. También puedes pedir toda la información que desees sobre la Venta de locales a través del correo electrónico o vía telefónica.
Local comercial en venta en El Nido-Las Fuentes en Parla
Parla es un Municipio de la Comunidad de Madrid que se encuentra en el Sur de la Capital a tan solo 20 Km. Este municipio está entre los 10 con más habitantes de la Comunidad de Madrid. Nuestros Locales Comerciales en Venta se localizan en dos calles perpendiculares, en las calles La Pila, 3 y Fuente Nueva. Una zona con muchos comercios y negocios, así como edificios de vivienda. Esta ubicación por lo tanto es una zona con gran movimiento comercial por lo que tiene unas amplias posibilidades para montar cualquier tipo de negocio. Existen varios locales en venta en Parla según las dimensiones, en concreto 4 tipos de tamaño. Los locales más pequeños tienen unas dimensiones de 42,27 m² mientras las más grandes son de 208 m². Puedes solicitar información en nuestra oficina situada en la Glorieta de Cuatro Caminos 6, en Madrid. También puedes pedir toda la información que desees sobre la Venta de locales a través del correo electrónico o vía telefónica.
Local comercial en venta en El Nido-Las Fuentes en Parla
Parla es un Municipio de la Comunidad de Madrid que se encuentra en el Sur de la Capital a tan solo 20 Km. Este municipio está entre los 10 con más habitantes de la Comunidad de Madrid. Nuestros Locales Comerciales en Venta se localizan en dos calles perpendiculares, en las calles La Pila, 3 y Fuente Nueva. Una zona con muchos comercios y negocios, así como edificios de vivienda. Esta ubicación por lo tanto es una zona con gran movimiento comercial por lo que tiene unas amplias posibilidades para montar cualquier tipo de negocio. Existen varios locales en venta en Parla según las dimensiones, en concreto 4 tipos de tamaño. Los locales más pequeños tienen unas dimensiones de 42,27 m² mientras las más grandes son de 208 m². Puedes solicitar información en nuestra oficina situada en la Glorieta de Cuatro Caminos 6, en Madrid. También puedes pedir toda la información que desees sobre la Venta de locales a través del correo electrónico o vía telefónica.
Local comercial en venta en El Nido-Las Fuentes en Parla
Parla es un Municipio de la Comunidad de Madrid que se encuentra en el Sur de la Capital a tan solo 20 Km. Este municipio está entre los 10 con más habitantes de la Comunidad de Madrid. Nuestros Locales Comerciales en Venta se localizan en dos calles perpendiculares, en las calles La Pila, 3 y Fuente Nueva. Una zona con muchos comercios y negocios, así como edificios de vivienda. Esta ubicación por lo tanto es una zona con gran movimiento comercial por lo que tiene unas amplias posibilidades para montar cualquier tipo de negocio. Existen varios locales en venta en Parla según las dimensiones, en concreto 4 tipos de tamaño. Los locales más pequeños tienen unas dimensiones de 42,27 m² mientras las más grandes son de 208 m². Puedes solicitar información en nuestra oficina situada en la Glorieta de Cuatro Caminos 6, en Madrid. También puedes pedir toda la información que desees sobre la Venta de locales a través del correo electrónico o vía telefónica.
Local comercial en alquiler en El Nido-Las Fuentes en Parla
Parla es el 9º Municipio de la Comunidad de Madrid con Más habitantes. Su ubicación es en el Sur de la Comunidad a tan solo 30 minutos en coche o cercanías de la Ciudad de Madrid. Para Alquilar Locales en Parla puedes visitar la oficina comercial en la Glorieta de Cuatro Caminos 6, en Madrid o si lo prefieres puedes solicitar más información a través del teléfono o correo electrónico. Los locales que puedes alquilar están a lo largo de dos calles perpendiculares entre sí. La calle la Pila 3 y la calle Fuente Nueva de Parla, una zona residencial con todo tipo de negocios al rededor, colegios, institutos, restaurantes, etc. , una zona que destaca por su alta actividad. Alquilar un local en Parla es una oportunidad para un negocio. Todos Nuestros locales para alquilar en Parla cuentan con salida de humo. Puedes elegir varios tamaños en función de las necesidades de tu negocio. Alquila locales desde 42,27 m² hasta 208 m² con 3,9 metros de altura. Solicita información sobre las condiciones del Alquiler de Locales en Parla y sobre los detalles de los locales. Puedes contactar con nosotros o visitarnos en la Glorieta de Cuatro Caminos 6, en Madrid.
Local comercial en alquiler en El Nido-Las Fuentes en Parla
Parla es el 9º Municipio de la Comunidad de Madrid con Más habitantes. Su ubicación es en el Sur de la Comunidad a tan solo 30 minutos en coche o cercanías de la Ciudad de Madrid. Para Alquilar Locales en Parla puedes visitar la oficina comercial en la Glorieta de Cuatro Caminos 6, en Madrid o si lo prefieres puedes solicitar más información a través del teléfono o correo electrónico. Los locales que puedes alquilar están a lo largo de dos calles perpendiculares entre sí. La calle la Pila 3 y la calle Fuente Nueva de Parla, una zona residencial con todo tipo de negocios al rededor, colegios, institutos, restaurantes, etc. , una zona que destaca por su alta actividad. Alquilar un local en Parla es una oportunidad para un negocio. Todos Nuestros locales para alquilar en Parla cuentan con salida de humo. Puedes elegir varios tamaños en función de las necesidades de tu negocio. Alquila locales desde 42,27 m² hasta 208 m² con 3,9 metros de altura. Solicita información sobre las condiciones del Alquiler de Locales en Parla y sobre los detalles de los locales. Puedes contactar con nosotros o visitarnos en la Glorieta de Cuatro Caminos 6, en Madrid.

























































































































































































































































































































































































































